باريس ـ وام
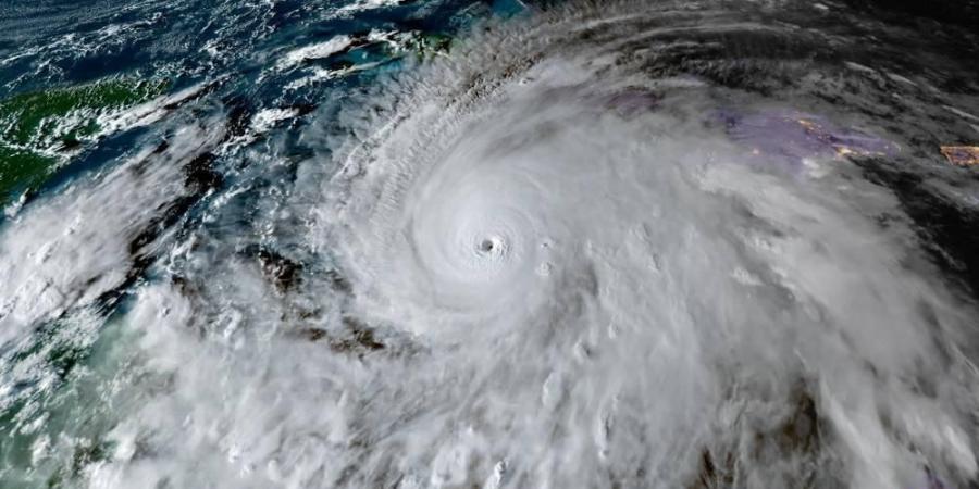
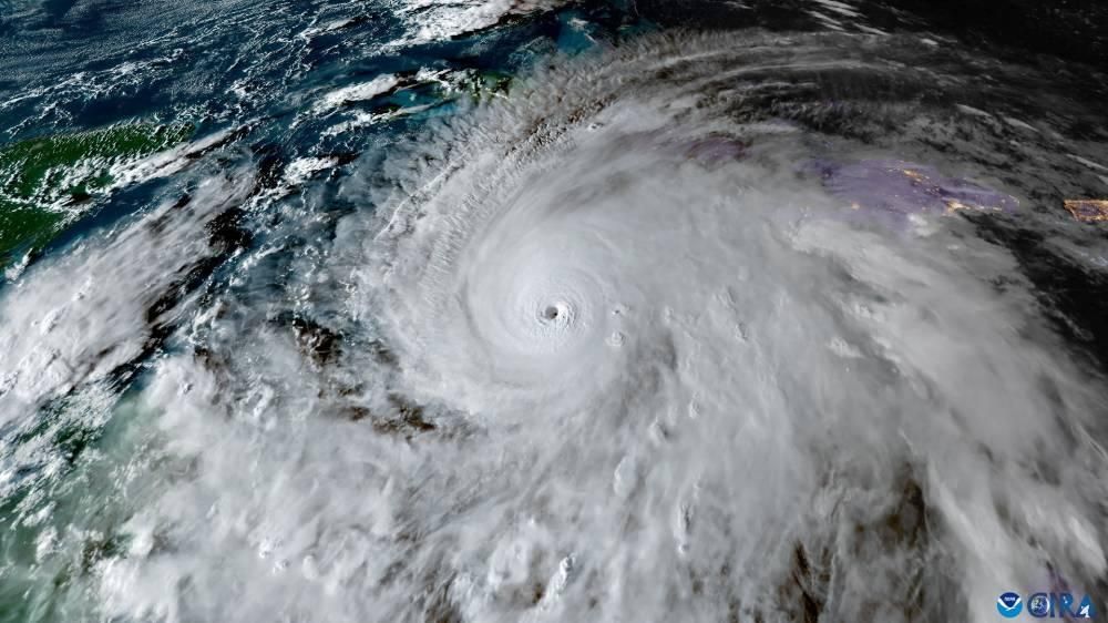
حذرت وكالات أممية من تعاظم خطر الإعصار «ميليسا» بأمطاره الغزيرة ورياحه العاتية، على ما لا يقل عن 1.6 مليون طفل في منطقة البحر الكاريبي، حيث تستعد العائلات في جامايكا وهايتي والجزر المحيطة بهما لفيضانات وانهيارات أرضية واضطرابات واسعة النطاق.
وقال «روبرتو بينيس» مدير قسم أمريكا اللاتينية ومنطقة البحر الكاريبي في منظمة الأمم المتحدة للطفولة «اليونيسيف»، إن جميع الجهود المبذولة للاستعداد لوصول الإعصار ضرورية للتخفيف من الأضرار والخسائر في الأرواح في المجتمعات الأكثر ضعفا، وخاصة في مناطق مثل منطقة البحر الكاريبي.
وأضاف، وفقاً لموقع «أخبار الأمم المتحدة»، أن «اليونيسيف» تساعد على تعزيز القدرات الوطنية على توقع حالات الطوارئ المتعلقة بالمناخ والاستجابة لها، وتقديم الخدمات الأساسية للأطفال.
وقامت الوكالات الأممية وشركاؤها بتخزين مسبق لإمدادات منقذة للحياة، بما في ذلك مواد النظافة، وأجهزة تنقية المياه، ومجموعات طبية، وتحويلات نقدية لدعم الأسر الضعيفة.
وبحسب التقارير الإخبارية، اشتد الإعصار في الساعات القليلة الماضية إلى عاصفة من الفئة الخامسة، مع رياح مستمرة بسرعة 252 كيلومترا في الساعة على الأقل، ومن المتوقع أن يضرب اليابسة في جامايكا اليوم الثلاثاء كأقوى عاصفة تضرب الدولة الجزيرية منذ بدء تسجيل البيانات في عام 1851.
ومن المتوقع أن تشهد دول المنطقة، بما في ذلك جامايكا وهايتي وكوبا وجمهورية الدومينيكان، طقسا قاسيا لعدة أيام، وسط مخاوف من إرهاق البنية التحتية وتعطل الخدمات الأساسية.
ووفقا لـ «اليونيسيف»، تأثر على مدار العقد الماضي حوالي 11 مليون شخص، من بينهم ما يقرب من أربعة ملايين طفل، بشكل مباشر كل عام بالكوارث في جميع أنحاء أمريكا اللاتينية ومنطقة البحر الكاريبي.


















0 تعليق